- 価格
- 2,500万円
- 種別
- 売地
- 坪単価
- 2.7882万円
-
- 所在地
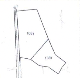
- 静岡県熱海市上多賀字横山1087、1088
- 交通
- JR伊東線 伊豆多賀駅 徒歩1900m
物件詳細
| 駐車場 | 取引態様 | その他 | |
|---|---|---|---|
| 引渡/入居時期 | 相談 | 現況 | 更地 |
| 地目 | 山林 | 用途地域 | 無指定 |
| 都市計画 | 非線引き区域 | 地勢 | 平坦 |
| 土地面積 | 2964m² | 土地面積計測方式 | 公簿 |
| 建ぺい率 | 40% | 容積率 | 200% |
| 土地権利 | 所有権 | 接道状況 | |
| 接道方向1 | 西 | 接道間口1 | |
| 接道種別1 | 接道幅員1 | 4.2m | |
| 周辺環境 | |||
| 設備・条件 | 公営水道・プロパンガス・個別合併浄化槽・東京電力 |
||
| 物件番号 | no-372 | ||
海を望む高台。開放感あふれる広大な敷地
熱海市上多賀エリア 売地(896.61坪)
熱海市上多賀地区に位置する、海の見える高台の売地です。
敷地は合計約2,964㎡(896.61坪)とゆとりある広さを誇り、周囲は自然豊かな山々に囲まれた、静かで落ち着いた環境が魅力です。
高台ならではの開放感と眺望があり、建物の配置や設計次第で海を望む住空間を実現できます。別荘用地としてはもちろん、定住用住宅、宿泊施設や事業用地など、幅広い用途をご検討いただけます。
現況は造成済みで、公道(幅員約4.2m)に接道。
公営水道・東京電力・プロパンガスに対応しており、建築計画もスムーズに進められます。
JR伊東線「伊豆多賀」駅から約1.9km。
熱海市街地へのアクセスも良く、自然と利便性のバランスが取れた立地です。
自然に包まれた開放的な土地で、理想の暮らしや事業を始めてみませんか。
【注意】
・市景観法、宅地造成及び特定盛土規制法
・自然公園法第3種特別地域
・熱海市風致地区条例参照
ホワイトイオンバスの販売
「真っ白な泡のお風呂」で極上のリラクゼーション!
新しい、そしてバラエティ豊かなお風呂の誕生です。
乳白色の泡で満たされた浴槽は、見た目の美しさとラグジュアリ感を演出し、お客様の満足度を高めます。
新しい、そしてバラエティ豊かなお風呂の誕生です。
乳白色の泡で満たされた浴槽は、見た目の美しさとラグジュアリ感を演出し、お客様の満足度を高めます。
Loading...
※物件掲載内容と現況に相違がある場合は現況を優先と致します。





